Back to All Listings
319 North Adams Street, c. Early 1900s
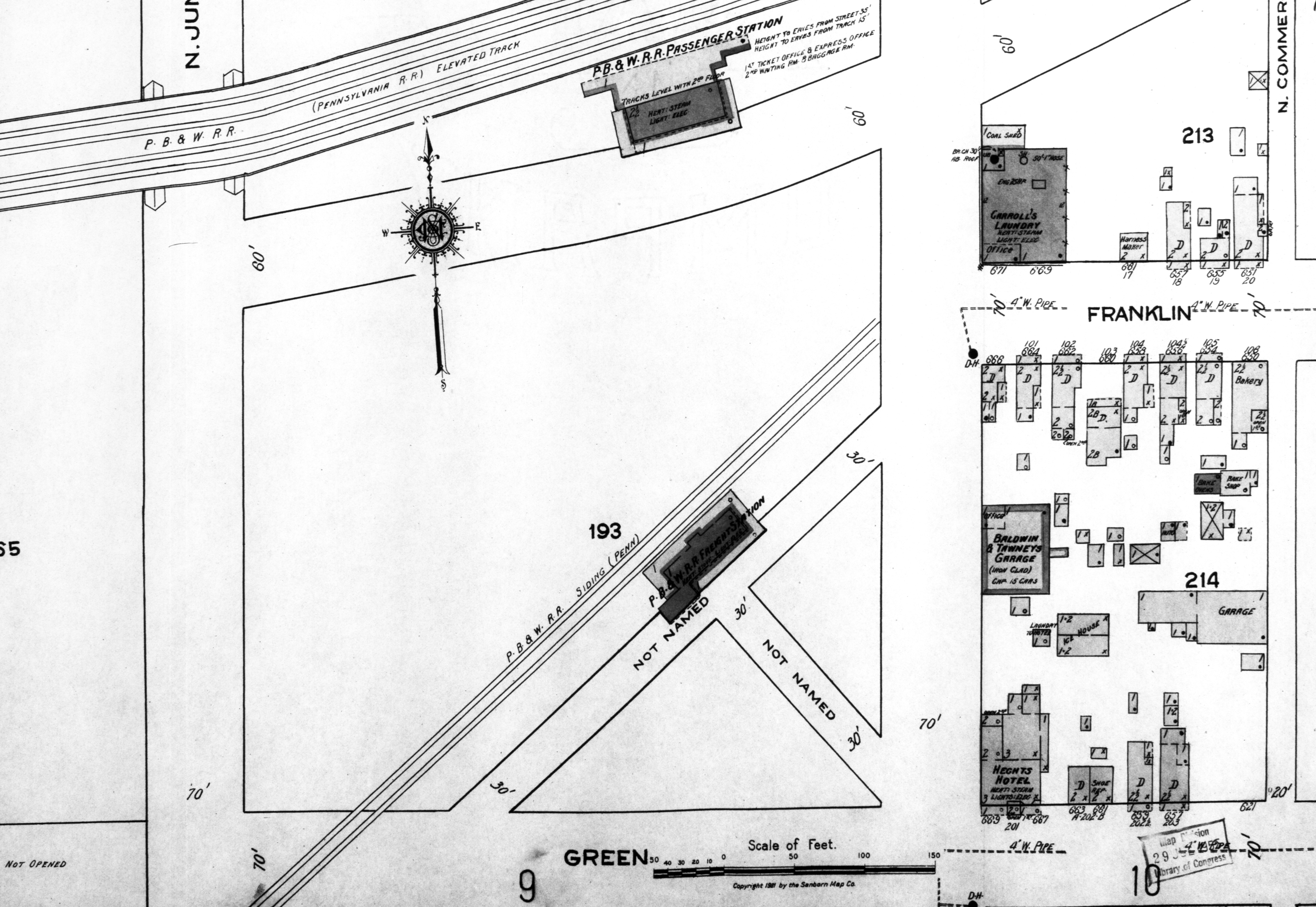
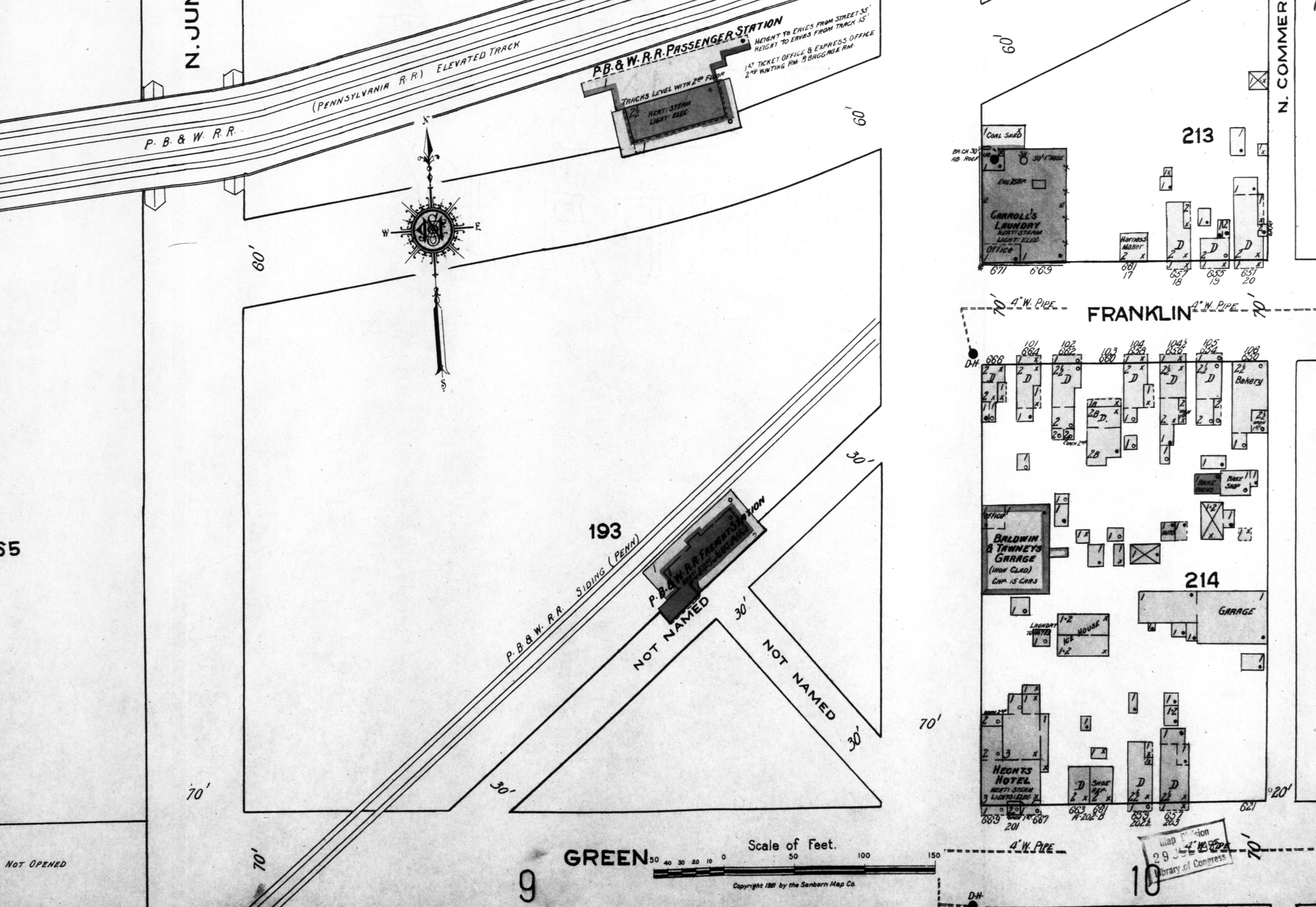
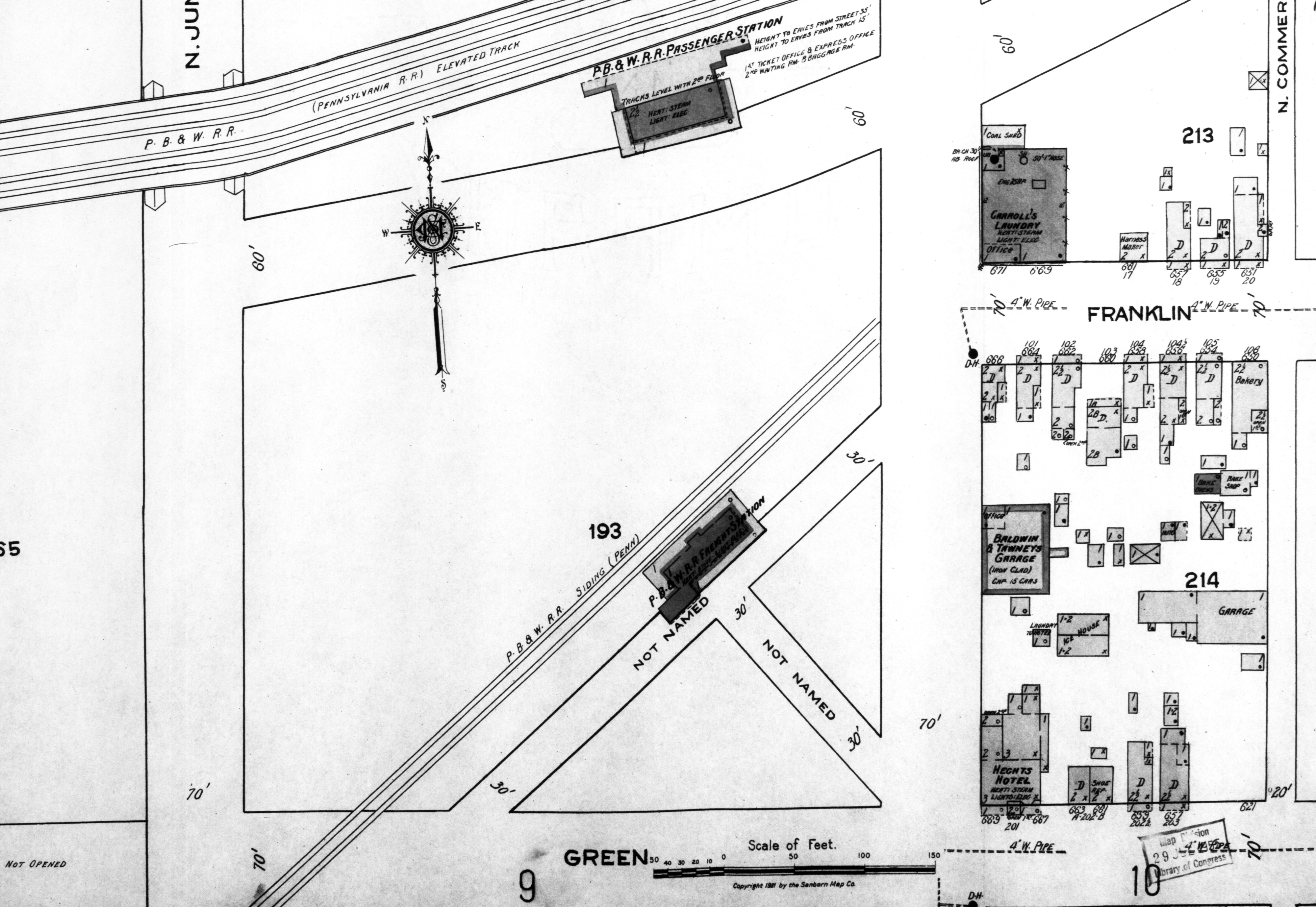
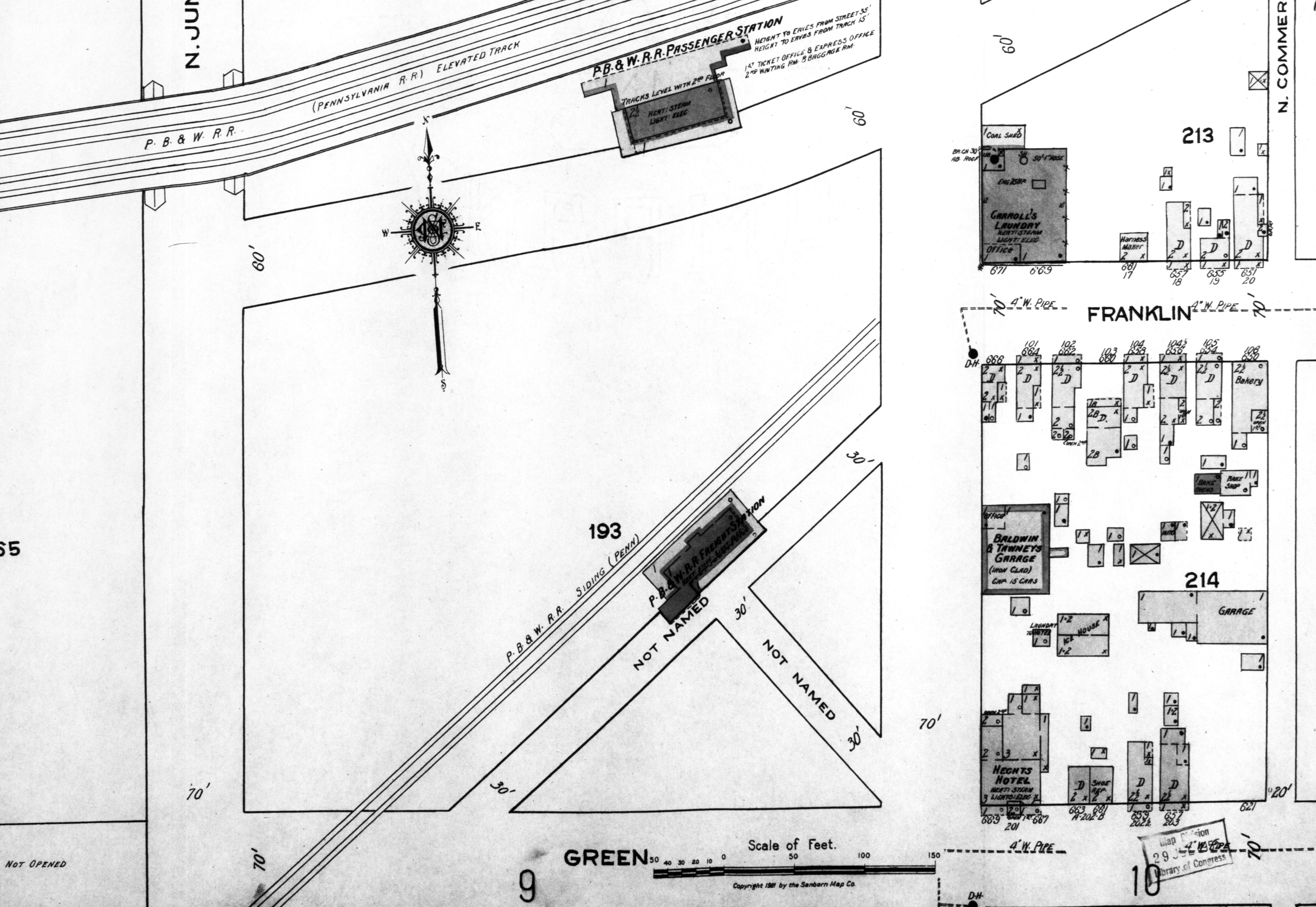
Portions of this parcel of ground were sold to Isaac Hecht (1864-1913) by Abram P. McCombs (1824-1916) .and Maria McCombs in 1892, and by Joseph Good (1864-1941) and Fannie Good in 1897. Isaac Hecht in 1890 had built the large Hecht Hotel at the intersection of North Adams and Green Streets. This land adjoined the hotel property and was where Isaac built an “ice house” and the “Hecht Hotel Livery” so hotel guests could stable their horses and carriages. After Isaac’s 1913 death all of his property went to his wife, Elizabeth Weiss Hecht, who herself died in 1928 and left their property to their two sons, Lee Isaac Hecht and Lawrence W. Hecht. This property descended to Lawrence’s widow, Florence Hecht, who in 1950 married Judge Frederick Lee Cobourn (1885-1962).
By 1911, Isaac Hecht had sold the hotel business (but not the property) and following his 1913 death the no-longer flourishing hotel also no longer needed the ice house or livery. The Hecht family leased this property to “Baldwin and Tawney’s Machine Shop and Garage.” Baldwin was Samuel Edward Baldwin who married Clara M. Godwin in May 1919 and Tawney was Garfield C. Tawney (1881-1946) whose wife was Lulu Wells Tawney. Records show that they were doing business and had telephone service here in 1916 (the current owner found a ledger and bookkeeping records dating back to 1916). And this building with its name is shown on the 1921 Sanborn Insurance Map. That map also shows the small buildings directly east of the rear of the shop that opened to Centennial Lane (on the 1910 Sanborn Map they were marked as “Hecht Hotel Livery” and “Ice House”). William Pyle recalls that when he worked at Hecht’s Hardware store on North Washington Street as a kid, Jake Hecht stored the tote boards from the “White Chapel” pool hall “in a shed behind Tawney’s Garage.” Those buildings are now part of this business.
In 1954 Florence Hecht Cobourn not only sold this property to Henry J. Loeblein (who served as Mayor from 1965-1973) and his wife, Eleanor, but Florence became his mortgagee. It may have been at that time that the business name became Tawney’s Garage (even though by then both Samuel Baldwin and Garfield Tawney had died). The City frequently purchased tires for police vehicles from Tawney’s Garage during that time—in 1956 the City bought four tires from Tawney’s for $63.20, for example. While a portion of the current facility may date back to the early 1900s (which is how the current owner found some bookkeeping records), some of it may have been rebuilt when the Loebleins bought it.
In 1970, the Loebleins sold this property to Tawney’s Garage, Inc., of which John T. Barrow, Jr., was President. They advertised as “Tawney’s Garage, Harford and Cecil Counties’ Leading Wreck Rebuilders,” and it had its own fleet of tow trucks. In 1996, Tawney’s Garage, Inc. sold the property to Kenneth and Patricia Kiddy who relocated to Florida in 2003 and sold it to Allen J. Fair, a local real estate investor. Pete and Richard Properties LLC (with Peter Tebin and Richard Forton) were owners from 2006 to 2011, when they sold it to Mark A. Hensley and Brian K. Hensley, who opened their new business, H&H Auto Body here.
Brian Hensley now owns and runs H&H Auto Body, has done some renovations, added siding, and repainted the business in 2020. Brian also owns the smaller buildings/garages that run from the rear of this building back to Centennial Lane, just as the old Hecht Hotel ice house and livery did.
County Records
Built 1958, 6124 sq ft, commercial, 15,100 sq ft lot.
Built 1958, 6124 sq ft, commercial, 15,100 sq ft lot.
